<%NOJS_WARNING%>

AquisNet SYS/REP (NEW)

Navigation:  

Reporting > External Reports

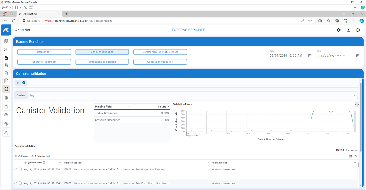
Canister Validation

Scroll PDF |

This topic is currently under construction.

aquis_ext-rep_canval_zoom50

 

Documented software version: 1.0.0